১৭ বৈশাখ, ১৪৩৩
৩০ এপ্রিল, ২০২৬

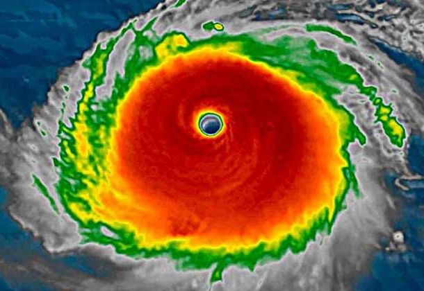
এবার ধেয়ে আসছে সুপার টাইফুন কং-রে

Admin Published: October 31, 2024, 12:30 pm
এবার ধেয়ে আসছে সুপার টাইফুন কং-রে

ডিএনএন ডেস্ক : ধেয়ে আসছে সুপার টাইফুন কং-রে। ৩০ বছরের মধ্যে তাইওয়ানে সবচেয়ে প্রলয়ঙ্করী ঘূর্ণিঝড় হতে চলেছে এটি। ফলে কার্যত শাট ডাউনের কবলে পড়েছে তাইওয়ান।


বৃহস্পতিবার (৩১ অক্টোবর) চ্যানেল নিউজ এশিয়ার এক প্রতিবেদনে এ তথ্য জানানো হয়েছে।


প্রতিবেদনে বলা হয়েছে, বৃহস্পতিবার সুপার টাইফুনটি আছড়ে পড়তে পারে। ফলে স্বায়ত্তশায়িত এ অঞ্চলের সব শহর ও কাউন্টি একদিনের ছুটি ঘোষণা করা হয়েছে। এ ছাড়া আর্থিক বাজার ও অভ্যন্তরীণ ফ্লাইট বাতিল করা হয়েছে।


তাইওয়ানের কেন্দ্রীয় আবহাওয়া কর্তৃপক্ষ জানিয়েছে, স্থানীয় সময় ভোর ৪টার দিকে পাহাড়ি ও কম জনবহুল এলাকায় এটি আছড়ে পড়তে পারে। এর ফলে দ্বীপজুড়ে শক্তিশালী বাতাস এবং মুষলধারে বৃষ্টিপাতের আশঙ্কা রয়েছে।


কর্তৃপক্ষ জানিয়েছে, কং-রের প্রভাবে উপকূলীয় অঞ্চলে ধ্বংসাত্মক বাতাসসহ পূর্ব তাইওয়ানে এক দশমিক দুই মিটার পর্যন্ত বৃষ্টিপাতের সম্ভাবনা রয়েছে।


তাইওয়ানের সরকার জানিয়েছে, প্রতিরক্ষা মন্ত্রণালয় উদ্ধার প্রচেষ্টায় সাহায্য করার জন্য ৩৬ হাজার সেনা প্রস্তুত রেখেছে। এ ছাড়া এবং চার হাজার ৫০০ জনকে উচ্চ ঝুঁকিপূর্ণ এলাকা থেকে নিরাপদে সরিয়ে নেওয়া হয়েছে।


তাইওয়ান সেমিকন্ডাক্টর ম্যানুফ্যাকচারিং কোম্পানি, বিশ্বের বৃহত্তম কন্ট্রাক চিপমেকার এবং অ্যাপল ও এনভিডিয়ার মতো সংস্থাগুলোর প্রধান সরবরাহকারী প্রতিষ্ঠান জানিয়েছে, তারা সমস্ত কারখানা এবং নির্মাণ সাইটে নিয়মিত টাইফুন সতর্কতা প্রস্তুতির পদ্ধতিগুলো চালু করেছে।


এক বিৃবতিতে প্রতিষ্ঠান জানিয়েছে, আমরা আমাদের কার্যক্রমে উল্লেখযোগ্য প্রভাব পড়বে বলে আশা করছি না।


এর আগে মার্কিন নৌবাহিনীর যৌথ টাইফুন সতর্কীকরণ কেন্দ্র জানিয়েছে, প্রায় ৩০০ কিলোমিটার বেগে এটিয়ে এগিয়ে যাচ্ছে। ইতোমধ্যে এটি একটি সুপার টাইফুনে পরিণত হয়েছে এবং তাইতুং কাউন্টিতে আঘাত করার আগে এটি আরও তীব্র হবে বলে আশা করা হচ্ছে৷


ঘূর্ণিঝড়বিষয়ক জয়েন্ট টাইফুন ওয়ার্নিং সেন্টার (জেটিডব্লিউসি) বুধবার জানিয়েছে, ফিলিপাইন সাগরের ওপর দিয়ে বর্তমানে এটি উত্তর পশ্চিমে অগ্রস হচ্ছে। বুধবার এটি সুপার টাইফুনে রূপ নিয়েছে।


পূর্ব উপকূলের বাসিন্দাদের নিরাপদে থাকতে ও পর্যাপ্ত প্রস্তুতি নিতে সতর্ক করেছে তাইওয়ানের কর্তৃপক্ষ। এ ছাড়া বিভিন্ন স্থানে বিশেষ করে তাইপেতে বৃহস্পতিবার ভারি বৃষ্টির পূর্বাভাস দেওয়া হয়েছে।


উল্লেখ্য, টাইফুল বলা হয় মূলত প্রশান্ত মহাসাগরের পশ্চিমাঞ্চলে তৈরি হওয়া ঘূর্ণিঝড়কে। এর প্রভাবে প্রতিবছর চীন, তাইওয়ান ফিলিপাইন ও জাপানে প্রচুর ক্ষয়ক্ষতি হয়।